Nieuw in verkoop:Pruimendijk 109, 2989 AH Ridderkerk - Foto
Nieuw in verkoop
+45

Pruimendijk 109 2989 AH Ridderkerk € 600.000,- k.k.

  • Eengezinswoning
  • 4 kamers
  • 3 slaapkamers
  • Bouwjaar 1935
  • 422 m² perceeloppervlakte
  • 113 m² gebruiksoppervlakte
  • E Energielabel E

Beschrijving

Sfeervol, levensloopbestendig wonen met een romantische tuin aan de Pruimendijk

Deze karaktervolle twee-onder-een-kapwoning aan de rustige en geliefde Pruimendijk in Ridderkerk is gebouwd in 1935 en in 2000 vergroot. Met zorg onderhouden, combineert deze woning landelijke charme met modern comfort, waardoor u zich hier direct thuis zult voelen.

Een tuin om van te dromen
Een absolute eyecatcher is de riante, rondom gelegen tuin van ruim 190 m². De tuin is stijlvol aangelegd en biedt een oase van rust en groen, met zowel zonnige als schaduwrijke plekjes. Perfect om lange zomeravonden door te brengen, te tuinieren of te ontspannen in alle privacy.

In de tuin bevindt zich een riante berging, die ook dienstdoet als thuiswerkplek én met een toilet – een rustige en praktische plek om ongestoord te werken of studeren.

Comfortabel wonen
Binnen beschikt de woning over 113 m² woonoppervlakte. De ruime woonkamer met open haard vormt het hart van het huis en is voorzien van airconditioning en centrale verwarming, waardoor u het hele jaar door van een aangenaam binnenklimaat geniet. De woning is verder bovendien uitgerust met airconditioning in de slaapkamer op de begane grond en een slaapkamer op de eerste verdieping.

De keuken is praktisch en sfeervol ingericht en vormt een fijne plek voor dagelijks gebruik en is voorzien van diverse inbouwapparatuur, waardoor koken hier comfortabel en efficiënt verloopt. Daarnaast beschikt de keuken over een vaste kast waarin zich de cv-opstelling (Remeha Tzerra M 28c, bouwjaar 2012) en de mechanische afzuiging bevinden, netjes en uit het zicht. Dit zorgt voor een opgeruimde uitstraling en optimaal gebruik van de ruimte.

Levensloopbestendig wonen
Uniek is het levensloopbestendige karakter van deze woning. Op de begane grond vindt u zowel een slaapkamer als een moderne badkamer met inloopdouche en badkamermeubel. Ideaal voor gelijkvloers wonen of als rustige logeerkamer.

Aangrenzend is de wasruimte in de aanbouw, met toegang tot de bergzolder, waardoor extra opslagruimte eenvoudig bereikbaar is. Eventueel kan de bergzolder via een vaste trap bij de woonruimte worden betrokken; door de hoogte en isolatie is hier eenvoudig een extra slaapkamer te realiseren.

De hal, slaapkamer op de begane grond en de badkamer zijn voorzien van vloerverwarming.

Verdiepingen
Op de verdiepingen bevinden zich de overige twee slaapkamers, beide vergroot door middel van een dakkapel en van prettig formaat. Zo is er volop ruimte voor een gezin of voor gasten. Extra opslag biedt de aanwezige bergzolder.

Praktische details
De woning staat op een royaal perceel van 422 m² en heeft een inhoud van circa 387 m³. De energieklasse E, gedeeltelijke vloerverwarming en airconditioning zorgen voor een comfortabel en modern woonklimaat.

Omgeving
De ligging is rustig en groen, maar tegelijkertijd zeer praktisch. Ridderkerk biedt een fijne mix van landelijke rust en stedelijke voorzieningen, met winkels, scholen, openbaar vervoer en uitvalswegen op korte afstand.

Bijzonderheden van deze woning
• Grote, romantische tuin rondom (198 m²) – perfect voor ontspanning en tuinliefhebbers;
• Slaapkamer en moderne badkamer op de begane grond – levensloopbestendig wonen;
• Extra thuiswerkplek in de tuinberging – rustig en praktisch ingericht;
• Riante woonkamer met gezellige haard en comfortabele vloerverwarming;
• Praktische keuken met diverse inbouwapparatuur en vaste kast met cv-opstelling en mechanische afzuiging;
• Wasruimte in de aanbouw met toegang tot bergzolder – extra opbergruimte;
• Mogelijkheid tot extra slaapkamer op de bergzolder;
• Ruim perceel van 422 m²;
• Rustige en charmante ligging aan de Pruimendijk in Ridderkerk;
• Energieprestatie (klasse E) en moderne voorzieningen zoals vloerverwarming en airconditioning;
• Bouwjaar 1935, goed onderhouden – perfecte mix van karakter en comfort.

Algemene informatie:
NEN2580: de Meetinstructie is gebaseerd op de NEN2580. De Meetinstructie is bedoeld om een eenduidige manier van meten toe te passen voor het geven van een indicatie van de gebruiksoppervlakte. De Meetinstructie sluit verschillen in meetuitkomsten niet volledig uit, door bijvoorbeeld interpretatieverschillen, afrondingen of beperkingen bij het uitvoeren van de meting. Indien er plattegronden aan deze brochure zijn toegevoegd, houdt u er dan rekening mee dat deze plattegronden geven slechts een indicatie van de indeling.

Alle verstrekte informatie moet beschouwd worden als een uitnodiging tot het doen van een bod of om in onderhandeling te treden.

Verkopers behouden zich uitdrukkelijk het recht tot gunning voor. Tussentijdse verkoop voorbehouden. Het uitbrengen van een bod betekent niet automatisch dat u in onderhandeling bent. Bij meerdere serieuze kandidaten kan verkoper besluiten tot een inschrijving.

De koopovereenkomst betreft een standaard-NVM koopovereenkomst met een aantal aanvullende artikelen, zoals:
- ouderdomsclausule (bij woningen ouder dan 20 jaar)
- asbestclausule (bij woningen van voor 1993)
- notarisclausule (maximum aan kosten voor verkoper en tijdsbepaling)
- meetclausule (aansprakelijkheid verkoper en makelaar)
- voorbehoud akkoord hypotheekbank verkoper (indien van toepassing)
- niet-bewonersclausule (indien van toepassing)
- overige clausules voor zover van toepassing

Deze informatie is door ons met de nodige zorgvuldigheid samengesteld. Onzerzijds wordt echter geen enkele aansprakelijkheid aanvaard voor enige onvolledigheid, onjuistheid of anderszins, dan wel de gevolgen daarvan. Alle opgegeven maten en oppervlakten zijn indicatief. Van toepassing zijn de NVM voorwaarden. Voor de NVM-privacyverklaring verwijzen wij u naar onze website.

Kaart

Kenmerken

Overdracht

Vraagprijs
€ 600.000,- k.k.
Status
Nieuw in verkoop
Aanvaarding
In overleg
Aangeboden sinds
Woensdag 14 januari 2026
Laatste wijziging
Maandag 19 januari 2026

Bouw

Type object
Eengezinswoning, woonhuis, twee onder een kap woning
Soort bouw
Bestaande bouw
Bouwjaar
1935
Dakbedekking
Dakpannen
Type dak
Zadeldak

Oppervlaktes en inhoud

Perceeloppervlakte
422 m²
Woonoppervlakte
113 m²
Inhoud
387 m³
Oppervlakte externe bergruimte
32 m²
Oppervlakte gebouwgebonden buitenruimte
4 m²

Indeling

Aantal bouwlagen
3
Aantal kamers
4 (waarvan 3 slaapkamers)

Locatie

Ligging
Aan rustige weg

Tuin

Type
Achtertuin
Hoofdtuin
Ja
Oriëntering
Noord-oost
Heeft een achterom
Ja
Staat
Goed onderhouden
Tuin 2 - Type
Achtertuin
Tuin 2 - Staat
Goed onderhouden
Tuin 3 - Type
Voortuin
Tuin 3 - Staat
Goed onderhouden
Tuin 4 - Type
Zijtuin
Tuin 4 - Staat
Goed onderhouden

Energieverbruik

Energielabel
E

CV ketel

CV ketel
Remeha Tzerra M 28c
Warmtebron
Gas
Bouwjaar
2012
Combiketel
Ja
Eigendom
Eigendom

Uitrusting

Warm water
CV-ketel
Verwarmingssysteem
Centrale verwarming
Open haard
Vloerverwarming (gedeeltelijk)
Badkamervoorzieningen
Inloopdouche
Wastafelmeubel
Heeft airco
Ja
Heeft een rookkanaal
Ja
Tuin aanwezig
Ja
Heeft schuur/berging
Ja
Heeft een dakraam
Ja
Heeft zonwering
Ja
Heeft ventilatie
Ja

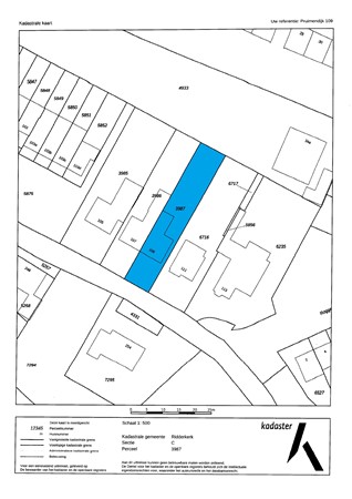
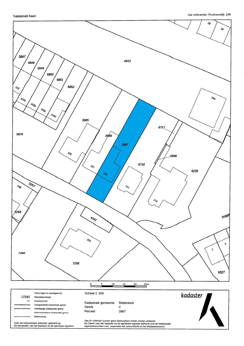
Kadastrale gegevens

Kadastrale aanduiding
Ridderkerk C 3987
Perceeloppervlakte
422 m²
Omvang
Geheel perceel
Eigendomsituatie
Eigen grond

Brochure(s) en overige bijlagen

brochure Download