Verkocht:Laan van Nederhoven 12, 3334 BL Zwijndrecht - Foto
Verkocht
+44

Laan van Nederhoven 12 3334 BL Zwijndrecht

  • Eengezinswoning
  • 6 kamers
  • 5 slaapkamers
  • Bouwjaar 1967
  • 269 m² perceeloppervlakte
  • 144 m² gebruiksoppervlakte
  • B Energielabel B

Beschrijving

In de ruim opgezette woonwijk Nederhoven, aan een door bomen omzoomde straat, met aan de voorzijde uitzicht op groen en rivier de Munnikendevel, ligt deze verrassend ruime, geschakelde tweekapper met een garage, een zonnige tuin op het zuiden en totaal 5 slaapkamers. Hier woon je in een vriendelijke woonomgeving, groen én centraal, met winkels, scholen en openbaar vervoer binnen handbereik. De locatie is de perfecte balans tussen wonen in het groen en de gemakken van de stad.

Deze charmante geschakelde tweekapper beschikt over een heerlijke achtertuin op het zuiden, waar je de hele dag van de zon kunt genieten. Door de aanwezigheid van een garage is er op uw eigen oprit voldoende ruimte voor een auto of caravan.

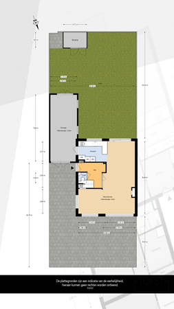
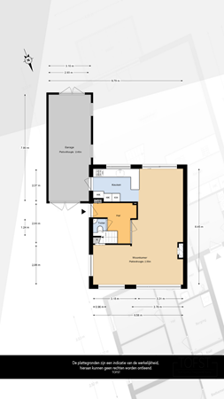
Indeling:
Entree, hal met de meterkast, het toilet en de trapopgang. Riante en sfeervolle living met een open haard en een schuifpui naar de zonnige tuin. De keuken is aan de achterzijde van de woning gelegen en beschikt over een uitgebreide keukenopstelling compleet met apparatuur zoals een vijf-pits gasfornuis, een afzuigkap, een combi-oven, een vaatwasser en een koel- / vries combinatie. Vanuit de keuken is de ruime garage bereikbaar. De tuin is gerust verzorgd te noemen en beschikt over een extra berging, handig voor tuinspullen of speelgoed.

1e verdieping:
Overloop met een praktische bergkast; 4 volwaardige slaapkamers, wat zeldzaam is in dit woningsegment, waarbij twee slaapkamers aan de achterzijde zijn voorzien van zonwering. Vanuit de overloop is een tweede, separaat toilet bereikbaar. De badkamer is eveneens modern afgewerkt en is voorzien van een inloopdouche, een ligbad en een wastafel met een badkamer meubel.

2e verdieping:
Riante overloop met de C.V.-opstelling, een extra wastafel, lekker veel bergruimte, een dakkapel en aansluitingen voor witgoed. 5e slaapkamer, eveneens met een dakkapel en praktische bergruimte achter de knieschotten.

Bijzonderheden:
- energielabel B, woonoppervlakte ca. 144 m2;
- zonnige en verzorgd aangelegde tuin op het zuiden;
- gelegen in de ruim opgezette en vriendelijke woonwijk Nederhoven;
- 4 slaapkamers op de eerste verdieping, 5e slaapkamer op de tweede verdieping;
- garage van bijna 8 meter diep; eigen oprit ideaal voor de caravan of uw auto;
- winkelcentrum Oudeland, uitvalswegen en het NS-station binnen handbereik.

Algemene informatie:
NEN2580: de Meetinstructie is gebaseerd op de NEN2580. De Meetinstructie is bedoeld om een meer eenduidige manier van meten toe te passen voor het geven van een indicatie van de gebruiksoppervlakte. De Meetinstructie sluit verschillen in meetuitkomsten niet volledig uit, door bijvoorbeeld interpretatieverschillen, afrondingen of beperkingen bij het uitvoeren van de meting. Indien er plattegronden aan deze brochure zijn toegevoegd, houdt u er dan rekening mee dat deze plattegronden slechts een indicatie geven van de indeling.

Alle verstrekte informatie moet beschouwd worden als een uitnodiging tot het doen van een bod of om in onderhandeling te treden.

Verkopers behouden zich uitdrukkelijk het recht tot gunning voor. Tussentijdse verkoop voorbehouden. Het uitbrengen van een bod betekent niet automatisch dat u in onderhandeling bent. Bij meerdere serieuze kandidaten kan verkoper besluiten tot een inschrijving.

De koopovereenkomst betreft een standaard-NVM koopovereenkomst met een aantal aanvullende artikelen, zoals:
- ouderdomsclausule (bij woningen ouder dan 20 jaar)
- asbestclausule (bij woningen van voor 1993)
- notarisclausule (maximum aan kosten voor verkoper en tijdsbepaling)
- meetclausule (aansprakelijkheid verkoper en makelaar)
- voorbehoud akkoord hypotheekbank verkoper (indien van toepassing)
- niet-bewonersclausule (indien van toepassing)
- overige clausules voor zover van toepassing

Deze informatie is door ons met de nodige zorgvuldigheid samengesteld. Onzerzijds wordt echter geen enkele aansprakelijkheid aanvaard voor enige onvolledigheid, onjuistheid of anderszins, dan wel de gevolgen daarvan. Alle opgegeven maten en oppervlakten zijn indicatief. Van toepassing zijn de NVM voorwaarden. Voor de NVM-privacyverklaring verwijzen wij u naar onze website.

Kaart

Kenmerken

Overdracht

Vraagprijs
€ 619.000,- k.k.
Status
Verkocht
Aanvaarding
In overleg
Aangeboden sinds
Donderdag 26 juni 2025
Laatste wijziging
Maandag 25 augustus 2025

Bouw

Type object
Eengezinswoning, woonhuis, twee onder een kap woning
Soort bouw
Bestaande bouw
Bouwjaar
1967
Dakbedekking
Dakpannen
Type dak
Zadeldak
Isolatievormen
Dakisolatie
Muurisolatie
Vloerisolatie

Oppervlaktes en inhoud

Perceeloppervlakte
269 m²
Woonoppervlakte
144 m²
Inhoud
603 m³
Oppervlakte overige inpandige ruimten
24 m²
Oppervlakte externe bergruimte
5 m²
Oppervlakte gebouwgebonden buitenruimte
4 m²

Indeling

Aantal bouwlagen
3
Aantal kamers
6 (waarvan 5 slaapkamers)

Locatie

Ligging
In woonwijk
Vrij uitzicht

Tuin

Type
Achtertuin
Hoofdtuin
Ja
Oriëntering
Zuiden
Staat
Goed onderhouden
Tuin 2 - Type
Achtertuin
Tuin 2 - Staat
Goed onderhouden
Tuin 3 - Type
Voortuin
Tuin 3 - Staat
Goed onderhouden
Tuin 4 - Type
Zijtuin
Tuin 4 - Staat
Goed onderhouden

Energieverbruik

Energielabel
B

CV ketel

CV ketel
Remeha Quinta 28c
Warmtebron
Gas
Bouwjaar
2006
Combiketel
Ja
Eigendom
Eigendom

Uitrusting

Warm water
CV-ketel
Verwarmingssysteem
Centrale verwarming
Badkamervoorzieningen
Inloopdouche
Ligbad
Wastafelmeubel
Heeft een rookkanaal
Ja
Tuin aanwezig
Ja
Heeft schuur/berging
Ja
Heeft een schuifpui
Ja
Heeft zonwering
Ja
Heeft ventilatie
Ja

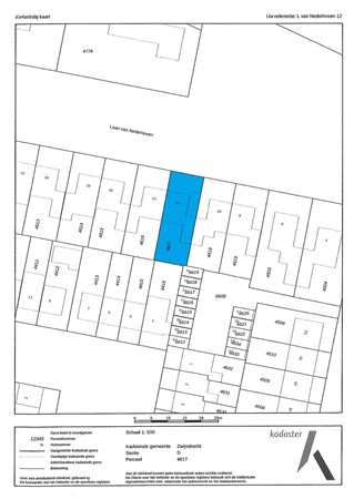
Kadastrale gegevens

Kadastrale aanduiding
Zwijndrecht D 4617
Perceeloppervlakte
269 m²
Omvang
Geheel perceel
Eigendomsituatie
Eigen grond

Brochure(s) en overige bijlagen

brochure Download